9 квіт. 2021 09:49

У Вінниці, на перехресті трьох вулиць – Київської, Чорновола та Стрілецької в майбутньому може змінитися реорганізація руху. Зараз в Агенції просторового розвиту розглядають можливі варіанти цього процесу.
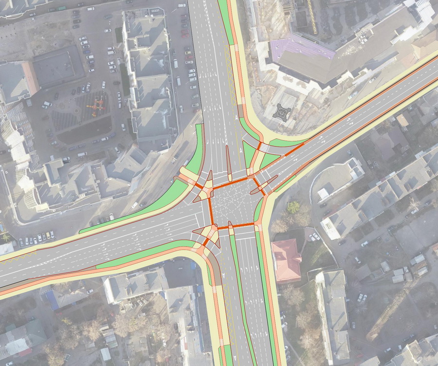
Як повідомили в Агенції, найоптимальнішим варіантом саме для цього перехрестя є світлофорне регулювання зі створенням острівців безпеки, додаткових смуг на перехресті, значним зменшенням площі перехрестя (між стоп-лініями), каналізування правоповоротних потоків та безконфліктним пофазним роз’їздом. Рішення також передбачає створення зручних велопереїздів та збільшення площі ділянок озеленення.


«Перехрестя вулиць Київська, Чорновола та Стрілецька є одним із найважливіших в транспортній системі Вінниці. На даному перехресті сходяться не тільки внутрішньоміські транспортні потоки, а й магістральний зовнішній транзит за напрямком Київ-Умань. Крім того простір довкола перехрестя є активним – тут зосереджено багато комерційних об'єктів та розташовані великі житлові комплекси.
З метою оцінки потенціалу збільшення пропускної здатності на даному вузлі, а також створення більш комфортної просторової організації перехрестя, на замовлення Агенції просторового розвитку компанія Оресунд виконала порівняння варіантів його реорганізації», – йдеться в повідомленні.
Розглядалися два варіанти:
1. Круговоий рух;
2. Оптимізоване світлофорне регулювання.
За результатами моделювання звичайний круговий рух, а також вдосконалений варіант типу «турбокарусель», не дають досягнути збільшення пропускної здатності вузла через високу існуючу інтенсивність потоків транспорту та пішоходів. Навпаки круговий рух зменшує пропускну здатність перехрестя.
Тому, на думку дослідників, оптимальним рішенням залишилося світлофорне регулювання.
Нагадаємо, у Вінниці в тестовому режимі реорганізовують рух на перехресті вулиць Оводова та Князів Коріатовичів перед мостом на Старе місто. В середині березня тут розмістили круговий острівець. Урбаністи кажуть – це дозволить розвантажити рух та уникнути заторів.
Журналісти Вінниця.info дізнались думку водіїв, щодо кругового руху.
Новини в зручному форматі в нашому Telegram-каналі ‒ https://t.me/vinnitsa_info.