5 берез. 2021 14:45

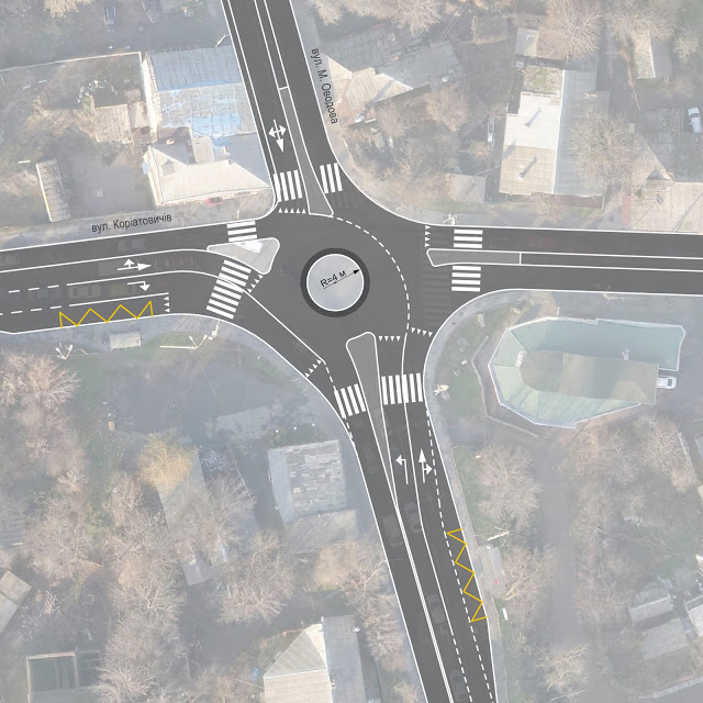
У Вінниці в тестовому режимі реорганізують рух на перехресті вулиць Оводова та Князів Коріатовичів перед мостом на Старе місто. В кінці березня там планують розмітити круговий острівець.
Про це зазначено в інформації Агенції просторового розвитку.
«Вулиця Князів Коріатовичів та Староміський міст є одними з найбільш перевантажених ділянок вуличної мережі міста. Через недостатню пропускну здатність перехрестя вулиць Коріатовичів та Оводова в години пік тут систематично спостерігаються затори. В ході пошуку рішення по зменшенню затримок громадського та приватного транспорту на даному перехресті компанія Урбан Прогрес на замовлення Агенції просторового розвитку провела моделювання реорганізації цього перехрестя з влаштуванням саморегульованої кругової розв'язки.
На відміну від площі Гагаріна, де круговий рух неможливо застосувати через наявність трамвю, круг на Коріатовичів за попередніми оцінками є оптимальним рішенням.
Результати моделювання показують, що дане рішення дає змогу збільшити пропускну здатність перехрестя на 30% у порівнянні з існуючим світлофорним регулюванням», - зазначено в інформації.
На відео можна побачити пришвидшену у 4 рази симуляцію роботи перехрестя з існуючим транспортним навантаженням в годину пік.
«Існуюча геометрія проїзної частини дозволяє розмістити круговий острівець без капітальних втручань. Планується, що до кінця березня перехрестя буде реорганізовано в тестовому режимі.
Якщо тестова експлуатація на практикці доведе ефективність кругового руху на перехресті вулиць Коріатовичів та Оводова (перед Староміським мостом) це рішення буде прийняте на постійній основі», - зазначає Агенція просторового розвитку.




Нагадаємо, наприкінці минулого року змінили організацію дорожнього руху на площі Гагаріна. Спочатку була критика, потім водії і пішоходи говорили, що перехрестя стало зручним.
Новини в зручному форматі в нашому Telegram-каналі https://t.me/vinnitsa_info
Вінниця.info,відео та ескізи - Агенції просторового розвитку
