30 черв. 2020 14:07

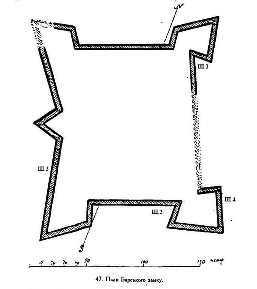
У червні експедицією Охоронної археологічної служби України та державного історико-культурного заповідника «Меджибіж» проведені архітектурно-археологічні дослідження Барського замку. Археологи знайшли артефакти XVIII століття.
Про це повідомляє Охоронна археологічна служба.
Під час робіт фахівці встановили глибину залягання фундаменту фортечних стін та вивчили культурні шари, які накопичувались під стінами оборонної споруди.
З’ясовано, що з боку річки та з південного боку, стіни замку муровані на вапняно-піщаному, білому розчині.
Зі східної сторони замку, шар містив матеріали середини XVII століття й інтерпретується дослідниками як горизонт, що виник внаслідок будівництва фортеці. Відсутність культурного шару XVIII - першої половини ХІХ століття пояснюється тим, що в цей час фортечний рів з боку міста дбайливо вичищався. З середини ХІХ століття рів використовувався як міський смітник.
Також науковцям вдалося простежити траншею під фундамент та стовпову яму, яка використовувалась для фіксації опорного стовпа будівельних «лісів». Знахідка стовпової ями є важливим елементом для розуміння технології будівництва подібних фортець. Відкриття подібних елементів трапляються в історії фортифікації нечасто.
Рухомий матеріал з шурфів представлений знахідками двох періодів. Перший стосується другої половини ХІХ – ХХ століття, коли фортечний рів було перетворено на міський смітник.
Другий – періоду побудови та активного використання фортеці середини – другої половини XVII століття. Серед знахідок цього часу трапився фрагмент кулелійки у вигляді щипців, свинцева куля, скляне ядро, фрагмент скляної пляшечки зі свинцевим горлом, фрагменти кахель та керамічного посуду.






Вінниця.info, фото Охоронної археологічної служби